1887-1889

The Department of Railways and Canals expropriates .66 of an acre of the King’s Road Reserve for the Cape Breton Railway. From 1887 - 1899 the railway line is constructed. This divides the homes of the residents of the King’s Rad reserve front he shores of the Sydney Harbour, where they fish.

1899

Joseph A. Gillis, a Sydney lawyer who lives adjacent to the King’s road reserve begins writing tot he Department of the Interior regarding the Indians who occupy the King’s Road Reserve and asking that they be moved to another piece of land.

1900

January 15 - Grand Chief John Denny writes to the Indian Agent, Reverend Dr. R.P Cameron that he and the other Mi’kmaq will not sign the surrender that Indian Affairs has provided to them, as the amount of dollars they will receive is very small and will not be enough to purchase a 5 acre pier of land. They ask for a guarantee that they will get 5 acres of land if they surrender the King’s Road Indian Reserve.

1910

Joseph A. Gillies, property land owner nest to the King’s Road Reserve, write to Frank Oliver, Minister of the interior, and urges him that if the indian will not move from the King’s Road Reserve, then legislation should be amended so “to enable the Department to easily and readily deal with a case of this kink, in the event of the Indians proving unreasonable in their consent to a surrender”.

1911

“an Indian Reserve which adjoins or is situated wholly or partly within an incorporated town or city having a population of not less than 8,000 people, and which reserve has not been surrendered or released by the Indians, The Governor in Council may, upon the recommendation of the Superintendent general, refer the matter to the judge of the Exchequer Court of Canada…”

1914

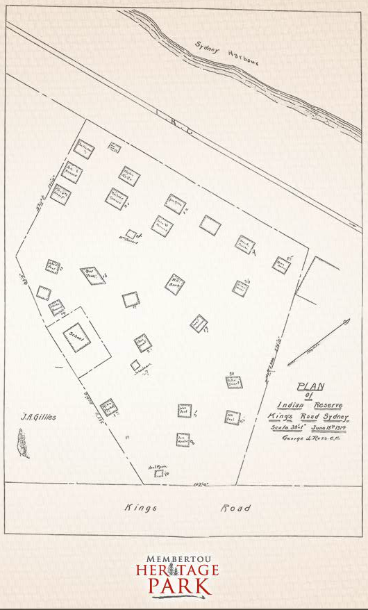
King’s Road is now occupied by 27 homes and there are 27 individual families living here. Population appears to be around 105 people. The heads of the 27 families are:
Ben Christmas, Joe Bernard, John Paul, John Gould, Joe Marshall, Joe C. Marshall, John W. Paul, Joe Morris, Mike Bernard, Tom Morris, Noel Bernard, Noel Isaac, Peter Paul, Peter Doucete, Richard Bernard, Stephen Googoo, Steve Doucet, William Bernard, W.M. Paul, Solomon Morris, John Isaac

1915

February 11th
Sydney city Council passes a resolution requesting the federal government to “immediately take the necessary steps for the removal of the Indians from their present location upon the King’s Road”.

May 4th
Governor General in Council directs the removal of the Indians question to the Exchequer Court.

September 20th – 25th
Exchequer Court hearing is held in Sydney with Mr. Justice Audette assigned to preside ove the hearing. G.A.R. Rowlings is appointed legal counsel for the Mi’kmaq. Joseph A. Gillies represents himself and the City of Sydney.

Exchequer Court Statement of Claim
Submitted by Joseph a. Gillies and argues for the Indians removal from the King’s Road reserve based on 11 grounds. This includes that; "the public would benefit with their removal, because they are filthy and unsanitary, because they cannot assimilate with white people, etc."

Exchequer Court Proceedings

Exchequer Court Proceedings
Thirty Four witnesses were called to testify. From the thirty four witnesses asked to testify, only three are Mi’kmaq and they are the last three witnesses that are called to testify. They are Chief Joe Christmas, former chief Joe Julien and Ben Christmas.

Testimonies
J.A. Gillies questioning of witnesses centers around finding testimony to assert that the Mi’kmaq people are drunken or intoxicated, or that the reserve was unsanitary, or that there are lost of fights there. Most of the cross examination by Rowlings demonstrates that the majority of the testimony and accusations are false or unproven. One witness states that there are many areas in Sydney where sanitary conditions were similar to those on the reserve.

Indian Agent Sparrow testified that the reserve garbage was carted away once a week and that he had always found the them, (the Mi’kmaq) to act in a very becoming manner. He also described the employment of the men and women on the reserve and the cleanliness and improvements in the conditions of their homes.

Schoolteachers Miss Edna Gough and Miss Aileen Boyle both testified that they were never molested on the reserve and had never seen any signs of disturbance while on the reserve.

Testimony appeared not to centre around If the Indians should be moved, which was the purpose of the proceedings, but instead Where they should be moved, which should have never been the issue to have been testified too.

March 15th

Exchequer Court Decision is rendered and Justice Audette states that;

The Reserve in question, which is numbered 28 on the Official Schedule of Indian Reserves, is located on the eastern shore of the Sydney Harbour, and was acquired by the Dominion Government on April 28th, 1882, under a grant from the Province of Nova Scotia, for the use of the Micmac Tribe……I do therefore, without hesitation, come to the conclusion, on this branch of the case, that the removal of the Indians from the Reserve is obviously in the interest of the public….

The Decision also speaks to location for a future reserve, small size of present reserve, compensation for loss of the King’s Road Reserve and possible sale of the present reserve, ironically, to Mr. Joseph A. Gillies, for a purchase price of $5,000.00.

1921

Exchequer Court recommends three specific properties for future reserve but instead Indian Affairs purchases Joseph Gillies property on Lingan Road as future reserve for King’s Road Reserve residents. Mi’kmaq do not accept this property as their reserve and refuse to move there.